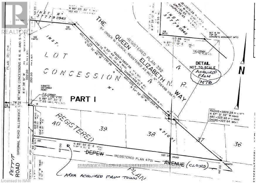
1468 Pettit Road, Fort Erie (Bowen), Ontario L2A 5M4 (29138362)
1468 Pettit Road Fort Erie, Ontario L2A 5M4
4 Acres
Acreage
$995,000
4.36 acres Vacant INDUSTRIAL LAND available. Zoned Prestige Industrial and located along the QEW Highway at Pettit Road with EXCELLENT QEW Highway exposure in Fort Erie, ON. Great location just minutes from the USA border at Peace Bridge. PI zoning allows many permitted uses including industrial warehousing, light manufacturing, self-storage, and more. The property is serviced with hydro-electric. Buyer to complete own due diligence for gas, water/cistern & sewer/septic bed services. Incredible opportunity to build or hold for future development. (id:27377)
Property Details
| MLS® Number | X12577968 |
| Property Type | Vacant Land |
| Community Name | 331 - Bowen |
Building
| Size Interior | 4 Acres |
Land
| Acreage | Yes |
| Size Depth | 169 Ft |
| Size Frontage | 404 Ft |
| Size Irregular | 4.36 |
| Size Total | 4.36 Ac |
| Size Total Text | 4.36 Ac |
| Zoning Description | Pi |
https://www.realtor.ca/real-estate/29138362/1468-pettit-road-fort-erie-bowen-331-bowen
Contact Us
Contact us for more information

Ronit Barzilay
Broker
(416) 441-2888
https://ronitbarzilay.com/
https://www.facebook.com/pages/Ronit-Barzilay-Harvey-Kalles-Real-Estate-Ltd-Brokerage/25040196499502
https://www.linkedin.com/profile/view?id=195660625&authType=NAME_SEARCH&authToken=apCB&locale=en_US&
Harvey Kalles Real Estate Ltd.
2145 Avenue Road
Toronto, Ontario M5M 4B2
2145 Avenue Road
Toronto, Ontario M5M 4B2


































